Reklama

Uwaga! Od niedzieli duże utrudnienia na Rondzie Starzyńskiego!

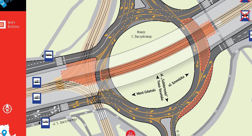
W nocy z soboty na niedzielę (z 29 na 30 lipca) zmieni się organizacja ruchu na Rondzie S. Starzyńskiego. Zwężona do jednego pasa ruchu będzie jezdnia w ciągu ul. Jagiellońskiej po obydwu stronach ronda.

W pierwszym etapie remontowane będą przejazdy tramwajowe przez jezdnię w ciągu z Mostu Gdańskiego do ul. S. Starzyńskiego. Jezdnia na rondzie w tych miejscach będzie zwężona. Jadący z ul. Jagiellońskiej od strony Żerania lub z ul. S. Starzyńskiego w ul. Jagiellońską w kierunku Pragi będą mieli do dyspozycji jeden pas ruchu. Podobna szerokość będzie dla jadących z Pragi lub Mostu Gdańskiego w kierunku Żerania. Taka organizacja ruchu będzie obowiązywała od 30 lipca do 15 sierpnia. W następnym etapie (16 – 30 sierpnia) po wschodniej stronie ronda będą dwa pasy ruchu. W kolejnych etapach zwężana będzie jezdnia na rondzie w innych relacjach.

Przebudowane zostaną rozjazdy na Rondzie S. Starzyńskiego, przejazdy drogowe przez tory, przystanki i sieć trakcyjna. Dobudowany będzie nowy skręt tramwajowy brakującej relacji skrętnej wschód-południe (w lewo z ronda w ul. Jagiellońską w kierunku Ratuszowej). Tramwajarze wyremontują tory na ul. S. Starzyńskiego pomiędzy rondem a wiaduktem nad Wybrzeżem Helskim oraz pomiędzy rondem a Rondem Żaba. Tutaj w planach jest przebudowa przystanków w zespole przystanków „Namysłowska” i „Rondo Starzyńskiego”, modernizacja torów na przejeździe przy ul. Namysłowskiej oraz przy peronach przystankowych.

Komunikacja: 

Reklama

W niedzielę, 30 lipca tramwaje wrócą w al. „Solidarności” i na ul. Targową do Kijowskiej. Tego samego dnia przestaną kursować w ciągu ul. Jagiellońskiej od Ronda S. Starzyńskiego do pętli ŻERAŃ FSO oraz w ciągu ul. S. Starzyńskiego od Ronda S. Starzyńskiego do ronda Żaba. Od poniedziałku, 31 lipca wyłączony będzie ruch tramwajów w Al. Jerozolimskich na odcinku od przystanku Dw. Centralny do pl. A. Zawiszy.

Zawieszone będzie kursowanie linii: 3, 4, 11, 23 i 25. Tramwaje linii 13 wrócą na podstawową trasę: CM. WOLSKI – KAWĘCZYŃSKA-BAZYLIKA. Zmienione trasy będą miały m.in. tramwaje linii:

 

Reklama

1: ANNOPOL – (…) – 11 Listopada – Targowa – Ratuszowa – Jagiellońska – (…) – BANACHA,

6: METRO MŁOCINY – (…) – 11 Listopada – Stalowa – (…) – CZYNSZOWA,

7: KAWĘCZYŃSKA-BAZYLIKA – (…) – al. J. Waszyngtona – Grochowska – GOCŁAWEK,

9: GOCŁAWEK – (…) – Al. Jerozolimskie – DW. CENTRALNY,

18: WORONICZA – (…) – Jagiellońska – Ratuszowa – Targowa – 11 Listopada – św. J. Odrowąża – Matki Teresy z Kalkuty – Rembielińska – Annopol – ŻERAŃ WSCHODNI,

22: PIASKI – (…) – Grójecka – al. Krakowska – P+R AL. KRAKOWSKA,

Reklama

24: P+R AL. KRAKOWSKA – al. Krakowska – Grójecka – Towarowa – Okopowa – al. „Solidarności” – Wolska – Połczyńska – Powstańców Śląskich – al. W. Reymonta – Wólczyńska – T. Nocznickiego – METRO MŁOCINY,

28: OS. GÓRCZEWSKA – (…) – Jagiellońska – Ratuszowa – Targowa – 11 Listopada – św. J. Odrowąża – Matki Teresy z Kalkuty – Rembielińska – Annopol – ANNOPOL.


Uruchomione zostaną tramwajowe linie zastępcze:

74: WYŚCIGI – Puławska – pl. Unii Lubelskiej – Marszałkowska – pl. Bankowy – al. „Solidarności” – Targowa – Grochowska – GOCŁAWEK,

Reklama

76: GOCŁAWEK – Grochowska – Targowa – al. „Solidarności” – Wolska – Połczyńska – Powstańców Śląskich – NOWE BEMOWO.


Uruchomione zostaną zastępcze linie autobusowe:

Z-7: DW. WSCHODNI (KIJOWSKA) – Kijowska – Targowa – al. Zieleniecka - Most Józefa Poniatowskiego – Al. Jerozolimskie – Grójecka – PL. NARUTOWICZA,

Z20: ŻERAŃ FSO – Jagiellońska – św. Cyryla i Metodego – Targowa – al. „Solidarności” – DW. WILEŃSKI (powrót: al. „Solidarności” – Jagiellońska).

 

 

 

 

źródło: Info Ulice

Aplikacja wio.waw.pl

Jeśli jeszcze tego nie zrobiłeś koniecznie zainstaluj naszą aplikację, która dostępna jest na telefony z systemem Android i iOS.


Aplikacja na Androida Aplikacja na IOS

Obserwuj nas na Obserwuje nas na Google NewsGoogle News

Chcesz być na bieżąco z wieściami z naszego portalu? Obserwuj nas na Google News!

Reklama

Komentarze opinie

  • Awatar użytkownika
    gość 2017-09-09 13:11:40

    nie ma jak prawdziwe prace zaczac w drugiej polowie sierpnia....wszystkie publcizne przetargi tak wygladają....patologia...

    odpowiedz
    • Zgłoś wpis

Podziel się swoją opinią

Twoje zdanie jest ważne jednak nie może ranić innych osób lub grup.


Reklama

Wideo wio.waw.pl




Reklama